948 784 774
C/ Pintor Asenjo 6 bajo
info@naraval.es

PARCELAS URBANAS EN VENTA. ITURMENDI

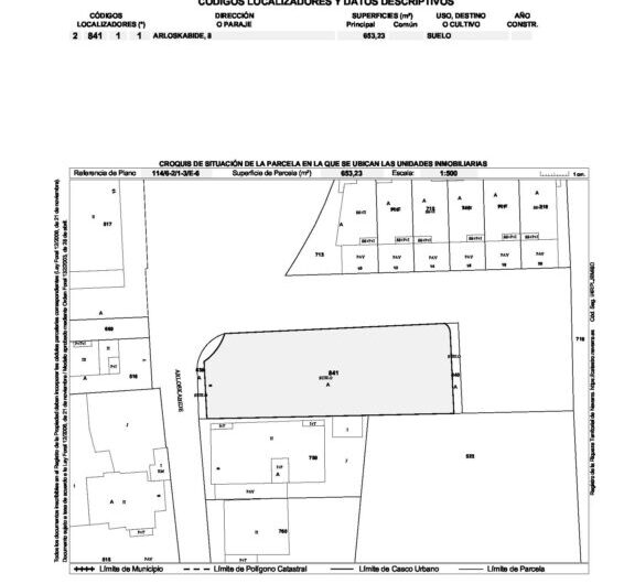
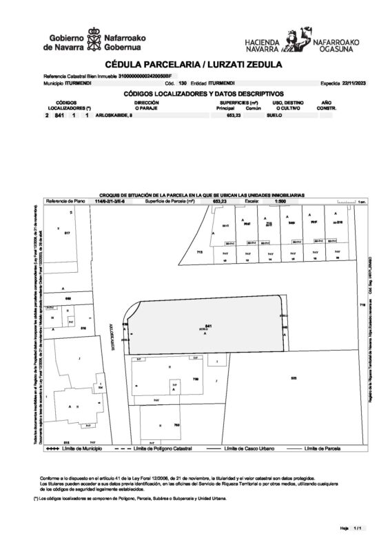
Caracter, Arloskabide, 8, Iturmendi, España
38.500€

Detalles

SE VENDE TERRENO URBANIZADO en la calle Arloskabide 8 en ITURMENDI (Navarra) localidad situada a 45km en coche (30 min.) de la capital Pamplona.

Se venden dos parcelas de 326,60 m2 cada una, las cuales son edificables en cada una 261,28 m2 para vivienda unifamiliar.

La venta puede ser individual de cada una o en conjunto.

La parcela cuenta con proyecto de reparcelación.

Su ubicación dentro de la localidad es buena.

  • ID: 14495
  • Views: 355